조황관리HOME / 조황관리 / 상세정보

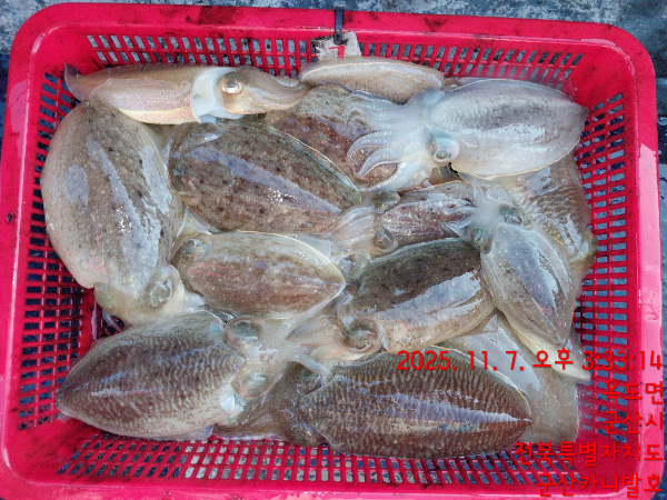
제목 : 11/7 갑오징어 낚시
등록일 : 2025-11-07
























조류 흐름이 강해 힘든 하루였습니다.

=== 군산 카니발호 예약안내 ===

예약문의 : 010-3402-6673

오시는길 : 오시는길 군산시 비응5길 40

홈페이지 : http://carnival.sunsang24.com/


모바일.gif

Top